この日は粟国島への遠征です。粟国島は遠いのと島のダイビングボートより先にエントリーしちゃおうとのプランで宿へのピックアップは5:40でした。
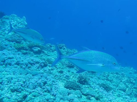
延々とボートに揺られて粟国島の筆ん崎に到着です。早速潜るとロウニンアジが表層を泳いでいます。

ナポレオンが悠然と横を泳いで行きました。

そして筆ん崎といえばこれギンガメアジのアジ玉です。

それにしてもすごい密度で群れています。

近づいて拡大するとこんな感じです。

ギンガメアジを見終わって根から移動しているとカマスの群れがいました。

カマスを拡大するとこんな感じです。

島のダイビングボートがやってきていたのでしばし休憩してから再び筆ん崎に潜ります。カスミチョウチョウウオが群れていました。

アカモンガラも群れていました。

そしてやはりこれ、ギンガメアジのトルネードです。

動画でも撮ってみました。
アジ玉を離れて行くとナンヨウハギ(この夏はついにファインディングドリーとして映画の主人公になるようですね。)がいました。

カンムリブダイが一匹下の方を通り抜けて行きました。

そしてまたカマスの群れです。

近づいて見てみるとさっきとは別の種類のようです。

2本目のダイビングを終えると11時頃でしたが、ここでお昼のお弁当です。

しばし休憩の後3本目も筆ん崎に潜ります。しつこくギンガメアジのトルネードです。

ホントにすごい密度です。

カスミアジも見ました。以上で2日間のダイビングは終了です。2日間とも海況が穏やかで雨も無くよかったです。

そして延々と時間をかけて那覇へと戻りました。ボートを降りて歩いていると水たまりでかみさんがこけてしまい膝から出血しているし、腰を痛めたと言っていたのですがとりあえずダイビングショップへと送ってもらい機材を洗ってログ付けをし、清算をしてからホテルへと送ってもらいました。
そして今日もサンエーに夕飯の買い出しです。ブルーシールのウベのアイスがあったので二人で食べました。

昨日で久米仙は飲み終わってしまったので、瑞穂を買って飲みました。クロカジキのお刺身もゴーヤチャンプルーもおいしかったです。

延々とボートに揺られて粟国島の筆ん崎に到着です。早速潜るとロウニンアジが表層を泳いでいます。

ナポレオンが悠然と横を泳いで行きました。

そして筆ん崎といえばこれギンガメアジのアジ玉です。

それにしてもすごい密度で群れています。

近づいて拡大するとこんな感じです。

ギンガメアジを見終わって根から移動しているとカマスの群れがいました。

カマスを拡大するとこんな感じです。

島のダイビングボートがやってきていたのでしばし休憩してから再び筆ん崎に潜ります。カスミチョウチョウウオが群れていました。

アカモンガラも群れていました。

そしてやはりこれ、ギンガメアジのトルネードです。

動画でも撮ってみました。
アジ玉を離れて行くとナンヨウハギ(この夏はついにファインディングドリーとして映画の主人公になるようですね。)がいました。

カンムリブダイが一匹下の方を通り抜けて行きました。

そしてまたカマスの群れです。

近づいて見てみるとさっきとは別の種類のようです。

2本目のダイビングを終えると11時頃でしたが、ここでお昼のお弁当です。

しばし休憩の後3本目も筆ん崎に潜ります。しつこくギンガメアジのトルネードです。

ホントにすごい密度です。

カスミアジも見ました。以上で2日間のダイビングは終了です。2日間とも海況が穏やかで雨も無くよかったです。

そして延々と時間をかけて那覇へと戻りました。ボートを降りて歩いていると水たまりでかみさんがこけてしまい膝から出血しているし、腰を痛めたと言っていたのですがとりあえずダイビングショップへと送ってもらい機材を洗ってログ付けをし、清算をしてからホテルへと送ってもらいました。
そして今日もサンエーに夕飯の買い出しです。ブルーシールのウベのアイスがあったので二人で食べました。

昨日で久米仙は飲み終わってしまったので、瑞穂を買って飲みました。クロカジキのお刺身もゴーヤチャンプルーもおいしかったです。

コメント